Все новости сайта за 20 февраля 2026
С инициативой выступил коллектив учреждения культуры. Также с ходатайством обратилось региональное отделение Союза краеведов РФ.
ОБЩЕСТВО
Военно-патриотический фестиваль профессий прошел в Пскове
20.02.2026 17:35
Мероприятие собрало свыше 400 школьников 9-11 классов.
Студенческие отряды в настоящее время объединяют людей разных возрастов: школьников старше 14 лет, студентов, а также опытных наставников.
ОБЩЕСТВО
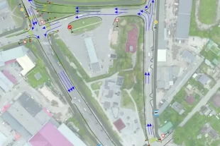
Ситуация на перекрестке давно требовала вмешательства. С начала текущего года там уже зафиксировали несколько серьезных ДТП.
ОБЩЕСТВО
Сроки весеннего паводка назвали в Псковской области
20.02.2026 16:34
Предположительно, он начнется в конце третьей декады марта, то есть, в конце месяцы.
В Псковском округе планируют построить коттеджный поселок
20.02.2026 16:16
В рамках инвестиционного проекта в округе создадут современный и комфортный жилой комплекс для проживания семей с развитой инфраструктурой.
Михаил Ведерников поздравил псковичей с Днем флага Псковской области
20.02.2026 15:54
Сопровождая важные мероприятия и официальные делегации региона, развеваясь на административных зданиях, флаг региона напоминает о чести, долге и ответственности перед предыдущими поколениями.
Псков посетил знаток «Что? Где? Когда?» Алексей Блинов
20.02.2026 15:31
Медиаменеджер пообщался с журналистами, поделился опытом работы с издателем, а также мыслями о перспективах развития печатных средств массовой информации.
Многие родители, особенно папы, всегда очень беспокоятся и переживают. Мамы более устойчивы и решают проблемы, если те возникают.
ЗДОРОВЬЕ
За все время День защитника Отечества прошел эволюцию от сугубо воинского праздника до общенационального дня, объединяющего всех, кто связал жизнь с служением Родине.
ОБЩЕСТВО
Псковичам рассказали, как избежать детских травм зимой
20.02.2026 14:22
Статистика региональных учреждений здравоохранения пополняется травматическими случаями: переломами, ушибами и вывихами.
В Пскове и Великих Луках планируют провести «Пасхальный фестиваль»
20.02.2026 13:03
Впервые «Пасхальный фестиваль» прошел в Печорском округе в 2024 году.